À partir de
3751 DH / mois
À partir de
3751 DH / mois
Terrain R 2
Toute la ville, Agadir Melloul
675 000 DH
Toute la ville, Agadir Melloul
CategorieTerrains et fermes, à vendre
MaisonZoning
Description
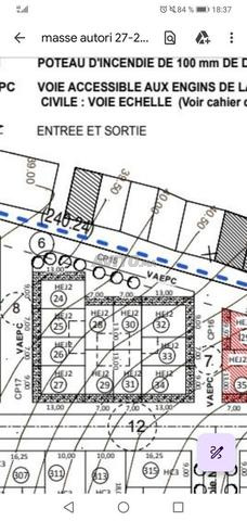
Parcelle numéro 29, lotissement Hadaiq Drouarka Agadir, commune de Drouarka, superficie de 91 mètres carrés sur rue de 12 m, une façade. Les personnes intéressées sont priées de contacter sans intermédiaire.
Contacter le vendeur
Équipements
Loti
Titré
Calculateur du prêt
DH
DH
Durée du prêt
0 DH
Par mois
Cette simulation est à titre indicatif et non contractuelle. Vous pouvez bénéficier de conditions préférentielles en fonction de votre dossier.
Powered by Avito
Annonces Google